740 E Poppyfields, Altadena Property Listing: MLS® #P1-24327

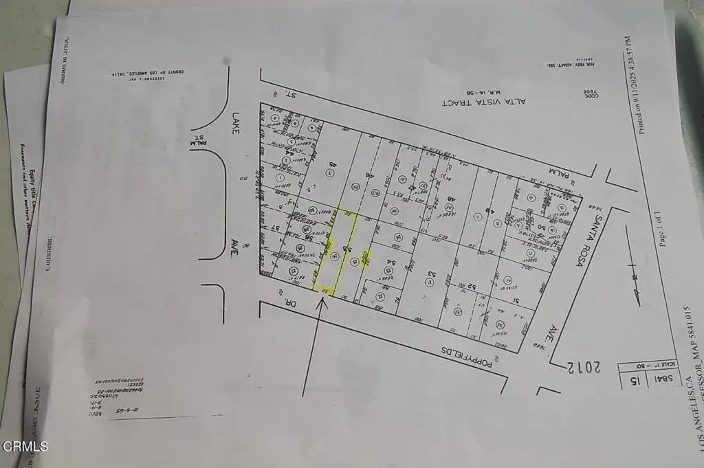
This lot is ideal for future development assessor map shows 50 x 209 nice deep 10,499 foot rectangular lot. located just west of Lake Ave.A savvy contractor after walking the site will notice development possibilities the gentle down slope at street frontage may offer tuck under garages, saving additional lot space to build more structures on. In addition utilizing setbacks may offer a wider house build. County records show what may have been a guest house ?Buyer to verify how many structures may be built on subject property under current code. From street level their are city light & mountain views. Great lot north of Altadena Dr.See attached plot maps adjacent to the blue easement line is aprox 15 foot paved road surface entry off Poppyfields this connects to a 30 ft easement at the south portion of subject property may allow Ingress & Egress separate entry to guest house /ADU at rear of deep lot. Buyer to verify.

740 E Poppyfields, Altadena Property Listing: MLS® #P1-24327 Close
Page Summary
NEW
  • MLS® #: P1-24327
  • 740 E Poppyfields
  • Altadena, CA 91001
  • $625,000
  • 0.24 Acres
  • Office: Coldwell Banker Realty

This lot is ideal for future development assessor map shows 50 x 209 nice deep 10,499 foot rectangular lot. located just west of Lake Ave.A savvy contractor after walking the site will notice development possibilities the gentle down slope at street frontage may offer tuck under garages, saving additional lot space to build more structures on. In addition utilizing setbacks may offer a wider house build. County records show what may have been a guest house ?Buyer to verify how many structures may be built on subject property under current code. From street level their are city light & mountain views. Great lot north of Altadena Dr.See attached plot maps adjacent to the blue easement line is aprox 15 foot paved road surface entry off Poppyfields this connects to a 30 ft easement at the south portion of subject property may allow Ingress & Egress separate entry to guest house /ADU at rear of deep lot. Buyer to verify.

Supplemental Remarks

Essential Information

  • MLS® #P1-24327
  • Listing Price$625,000
  • Date ListedSeptember 30th, 2025
  • Days on Market4
  • Acres0.24
  • Lot Sq.Ft.10,498
  • TypeLand
  • Sub-TypeLots/Land
  • StatusActive

Community Information

  • Address740 E Poppyfields
  • AreaALTADENA (91001)
  • CityAltadena
  • CountyLos Angeles
  • StateCA
  • Zip Code91001

Amenities

  • UtilitiesNatural Gas
  • Has PoolYes

Interior

  • FireplaceYes
Print this Page

Property Location

Get directions to this property:
Please provide a valid email address.

Nearby Schools in Altadena

This information is deemed reliable but not guaranteed. You should rely on this information only to decide whether or not to further investigate a particular property. BEFORE MAKING ANY OTHER DECISION, YOU SHOULD PERSONALLY INVESTIGATE THE FACTS (e.g. square footage and lot size) with the assistance of an appropriate professional. You may use this information only to identify properties you may be interested in investigating further. All uses except for personal, non-commercial use in accordance with the foregoing purpose are prohibited. Redistribution or copying of this information, any photographs or video tours is strictly prohibited. This information is derived from the Internet Data Exchange (IDX) service provided by San Diego MLS®. Displayed property listings may be held by a brokerage firm other than the broker and/or agent responsible for this display. The information and any photographs and video tours and the compilation from which they are derived is protected by copyright. Compilation © 2025 San Diego MLS®, Inc.

Listing information last updated on November 7th, 2025 at 5:41am PST.